親切な船長とマダイ釣り体験。
新幸丸の特徴
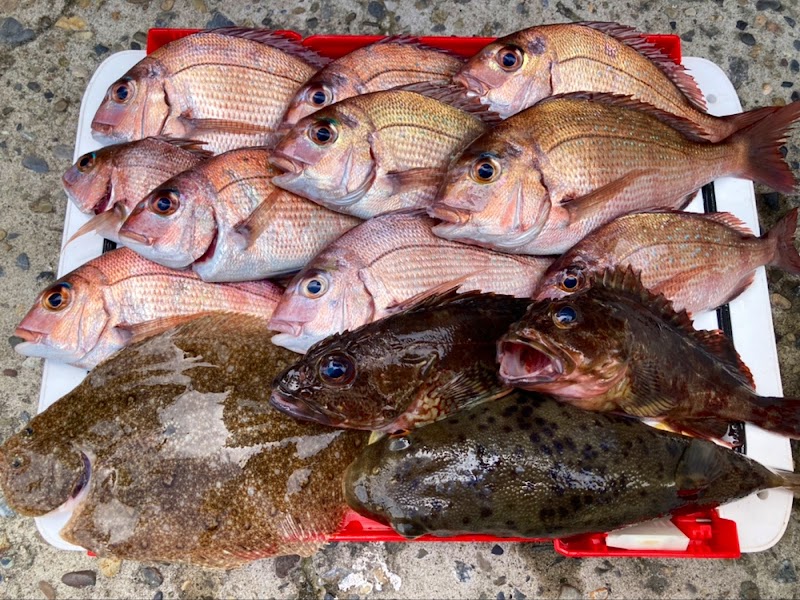
マダイのひとつテンヤ釣法で有名な釣船チャーターです。
初心者からベテランまで楽しめる充実のサービスが魅力です。
船長や仲乗りさんの親切な対応が心温まる釣り体験を提供します。
船長さん、女将さんともに気さくな方です。また、中乗りさんのホスピタリティが素晴らしいです。気持ち良く釣りが出来る船宿さんですね。
マダイのひとつテンヤ釣法の船宿で有名です。受付ではオリジナルのテンヤ(カブラ)を売っています。わからない事は船長に訊ねれば的確に教えてもらえると思います。私は若船長に安全なジグの投げ方を教わって、二匹のマダイが釣れました。おかみさんの人柄も明るくて、おすすめの船宿です。
良く利用しています!大原でマダイを釣るなら絶対ここ。
親切でアットホームなので楽しく釣りを楽しめます。
最高です!いつもお世話になってます。一つテンヤの腕が上がります!
初のテンヤ真鯛をこちらの船で利用させていただきましたが、受付、乗船後のレクチャー含め、親切でした。
色んな釣り船に乗ったけどここほど船長、仲乗りさんが働いてくれる船はないです。どんなに小さい魚でもタモ持ってスタンバイしてくれる。あと常連より初心者の魚優先してとってくれるのはいいと思います。
釣り座はほぼ選べない 常連客は波を被らない大ドモにいるので 予告無くポイント異動 30分ぐらい波を被る、カッパ着てても冬場はきつい 冬場は乗れない 🕷️テンヤはタングステンのカブラじゃないとダメらしい、分かりやすくテンヤ真鯛じゃ無くカブラ真鯛船?名前を変えてほしい❗🕷️
船長は親切だし、息子さんもまめに動いてくれます。沖上がりの後は、女将さんの温かいお味噌汁が出ます。私個人としては、とても好きな船宿さんです。
名前 |
新幸丸 |
---|---|
ジャンル |
|
電話番号 |
0470-62-1500 |
住所 |
|
HP | |
評価 |
4.4 |
周辺のオススメ

親切な方が多い印象があります。4月に午前船でマダイ行けるのでありがたいです。駐車場が満車が多い印象。